Following is another guest post, this one from Arnold Turner, member of Mt Albert Historical Society.
THE HISTORY OF SELCOURT ROAD
Formerly called: SELWYN ROAD
At times also formerly called: Smith Street and Albert Road
In the early 1880s, Allan Kerr Taylor subdivided all of his land situated on the north-western side of New North Road, from Western Springs Road in the north to about where Wairere Avenue is now. The subdivision was into large lots of an acre or more each. In order to allow access to the interior lots in that part of his subdivision which lay between what are now St. Lukes Road and Wairere Avenue, he provided for a lane, about 33 feet wide, running from New North Road in almost a straight line to the railway line; and thence by an irregular route to what is now Asquith Avenue.
The subdivision was advertised for sale in 1882. As A K Taylor sold lots in that subdivision, he gave the purchasers of lots fronting the lane the right-of-way over it. But he retained ownership of the lane.
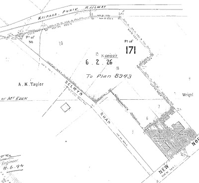
Part of an 1890s map. The lane is not named. But on the map in an auctioneer’s advertisement dated November 1882 it is named ‘Selwyn Road’. Avondale Road was originally called ‘Old Whau Road, and is now called Asquith Avenue.
Lot 15 in the subdivision is situated on the south side of the lane, some distance in from New North Road. By Deed dated 19th September 1882, A K Taylor sold Lot 15 to Rev. W S Potter, a Primitive Methodist Minster, for £220, and granted the purchaser a right-of-way over the lane. In the Deed the lane is named ‘Albert Road’. (On the map in the auctioneer’s advertisement that year it is named ‘Selwyn Road’). There must have been a building of some kind on Lot 15 at the time, because Rev Potter immediately raised a mortgage for £120 from the Auckland Savings Bank. By Deed dated 25th June 1883, Rev Potter sold Lot 15 to Joseph Charles Smith, a cabinetmaker, who paid £140 in cash and took over responsibility for the mortgage. By 1894, A K Taylor had died. In that year, Sophia Louisa Taylor, his executrix, caused a survey to be done of some of the land on the northern side of the lane, and the plan was lodged in official records as No. 1271.
Shown on this 1894 plan is a substantial part of the lane created by the original subdivision, and it carries the name: “Selwyn Road”. The position of Mr. Smith’s house is also shown on the plan. The extension of the lane to (now) Asquith Avenue is not shown. LINZ records, crown copyright.
By 1907, Frederick William Monthey, settler, was the owner of Lots 25, 26 and 27 situated in the northwestern corner of the 1880s subdivision. His land had a small frontage to what was then called Avondale Road and a frontage to the lane. By Deed dated 22nd March 1907, Sophie Louisa Taylor made him the owner of Lots 16 and 17. (Price £60). Lots 16 and 17 had frontage to the lane, and lay between Monthey’s existing 3 lots and Mr. Smith’s land. The Deed also transferred to Mr Monthey the freehold ownership of the lane, which was described in the Deed as: “now known as Smith Street and running from the New North Road to the Old Whau Road”. The transfer of the ownership of ‘Smith Street’ was made “subject nevertheless ..... to such rights of way as have been granted or otherwise created over the same”. I presume that Sophia conveyed title to the lane into Monthey’s name because Lots 16 and 17 were the last lots in the subdivision which remained in her ownership and so she needed to divest herself of the ownership of the lane.
On 17th July 1907, Mr. Monthey conveyed ownership of Lots 16 and 17 into the name of my grandmother, Maude Mary Turner. The price she paid to Mr Monthey was £150. The Deed also conveyed to my grandmother, ownership of the freehold of the lane, again “now known as Smith Street”, subject to the rights of way already created.
My grandmother and grandfather had a house built on Lots 16 and 17, and the Turner family (father, mother and 8 sons) went into occupation of the house on 9th September 1909. My grandfather also had 3 glasshouses erected on that land. He grew grapes, tomatoes and cucumbers and experimented with growing strawberries and peaches under glass. (He had been a nurseryman in England before coming to New Zealand in 1885.) Perhaps the fact that the Meola Stream traversed the property was an attraction. At that time it was an open watercourse and it would have been a permanent source of water for his growing operations.
In October 1910, my grandmother applied to have the title to her property converted into a ‘Land Transfer’ one. To do that, she had to have her property surveyed, surrender her title Deeds, and supply the names and addresses of all adjoining owners and occupiers. Her survey plan (No. 6763) defined as her property both Lots 16 and 17 and the lane, but the lane was subject to “such Rights of way (as are) already granted or created over (it).” Her application drew objections from some neighbours claiming that Selwyn Road (alias Albert Road, alias Smith Street) was a public road. It also provoked a petition to the Borough Council, signed by two hundred people, asking that the Council take the necessary steps to have the road taken as a public road.
In May 1911, my grandfather, Edward, had been elected unopposed as one of the 2 Councillors for B Ward of the new Mt. Albert Borough Council. (The other was John E. Astley.) A deputation in support of the petition was heard by the Council on 30th January 1912; wisely, my grandfather did not attend the meeting. The deputation received a sympathetic hearing. But subsequently the council received legal advice that it had no power to take Selwyn Road over, and the petitioners had to be informed accordingly. (There may also have been a technical difficulty in that Selwyn Road was only 33 feet wide.) An interesting letter was written to the District Land Registrar on 20th February 1912 by Mr F W Monthey. He was still the owner of the land on the north-western side of my grandmother’s land, though he had moved to Masterton. He complained that it had been reported to him that “Mr. Turner has 3 men and 2 drays carting all the soil off our end (of Selwyn Road) in front of my home and land.” An interesting insight into my grandfather! Presumably he believed that as his wife owned Selwyn Road he could take the soil away, provided that he did not interfere with people’s right of passage over it.
In the meantime, on 24th June 1911, my grandmother had given birth to her 9th son, in the Selwyn Road house. (She was then 45 years old.) He was named George Selwyn, but was always called ‘Selwyn’.
One of the neighbours who objected to my grandmother being given a Land Transfer title to Selwyn Road was Thomas Kirkup. At the time he was in the process of subdividing a large block of land on the northern side of Selwyn Road and constructing what became Jesmond Terrace. His objection was satisfied by my grandmother signing a Deed in October 1913 which conferred on all of his land an express right of way over Selwyn Road. By the same Deed he agreed that Jesmond Terrace would be taken up to the boundary of Selwyn Road, thus preventing Jesmond Terrace becoming a cul-de-sac. (In that Deed Selwyn Road is referred to as “Albert Road ....formerly known as Selwyn Road and as Smith Street”. ) That cleared the way for her Land Transfer title to be issued in February 1914. It of course included the ownership of Selwyn Road “subject to such rights of way as have been granted or otherwise created over (it)”.
My grandfather died in the Selwyn Road house on 18th June 1918. He was 71. My grandmother sold the property (including the Selwyn Road) to Leslie Victor Nicholls on 10th November 1919 for £2000. Mr. Nicholls continued to operate the plant nursery and was there until his death late in 1953. His widow then owned the property until her death in 1963.
In 1938 the Mt Albert Borough Council had changed the name of Selwyn Road to Selcourt Road. Dick Scott recorded that that was done as part of a big renaming programme following a post office appeal to avoid duplication.
In May 1964 the Borough Council took the Nicholls property (including Selcourt Road) under the Public Works Act “for municipal buildings”. In due course what had been Lots 16 and17 were cleared and they became part of the civic centre site. In 1965 the council had Selcourt Road surveyed, and by the survey it was widened slightly for virtually the whole of its length. The Mayor at that time was my uncle Frank Turner, Edward and Maude Turner’s 8th son, who had lived in the Selwyn Road house during his childhood. In January 1974 another Proclamation was issued; this time it ‘took’ Selcourt Road (as defined in the latest survey) for street and vested the street in the Council.
In recent years, a sealed vehicle carriageway has been provided along Selcourt Road as far as Jesmond Terrace. From there a pedestrian walkway connects to Asquith Avenue.
Arnold R. Turner
July 2010
July 2010
Acknowledgements:
The Deeds and Title searches providing the history of the ownership of Selwyn Road have been provided for me by Lisa Truttman.
Turner family history has been provided mainly from my father’s unpublished memoirs. My father, Harold Raymond Turner (Ray), born in December 1898, was the 7th son of Edward and Maude.
From my father’s memoirs:
Our new, large house faced Jesmond Terrace when it was formed, but at that time only had a frontage to a small lane, Selwyn Road. It was worthy of a better setting, but it had several acres of ground where my father set two of my brothers to work erecting greenhouses.
Next to us was a small cottage named Tyndall Cottage, which stood amid lovely shrubs and trees. It was occupied by old Mr Smith, a man with a patriarchal beard, a hunchback wife, four daughters, and an elderly widower son from a former marriage. Three of the girls went off to work each day while the youngest one ran the house and waited cheerfully on her father. He went about from house to workshop wearing an apron, and when he couldn’t find something would call out “Ann–eee” in a deep voice, and she would come running to him. The family was very fond of flowers, and grew many ferns and flowers among the shrubs. They also kept a few doves, whose gentle cooing we could hear. Years after we learnt that old Mr. Smith was younger than father.
The Turner house in Selwyn Road.



No comments:
Post a Comment